Oh the Gall! Strange Growths on Leaves

July 30, 2018 Emily Stine , Doctor of Plant Health Horticulture Intern

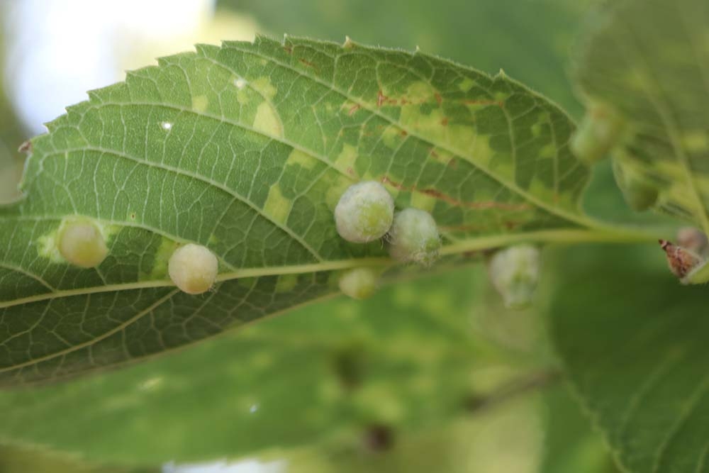
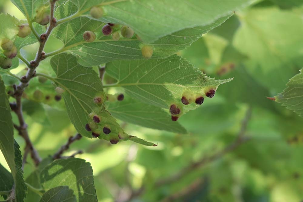
One of the most frequent questions I get around this time of year is “what is growing on my leaves?” while being handed a hackberry leaf with knobs on the back. These knobs are galls – abnormal growths on leaves and stems with a number of different causes, mainly insects and diseases.

In the case of the hackberry knobs, these are hackberry nipple galls caused by a psyllid – a tiny plant-feeding insect. The galls themselves are a plant response to the feeding of the larvae, forming a protective covering over the insect as it matures. Fortunately, this psyllid doesn’t affect the tree dramatically, just makes it unsightly. While control is possible, it is challenging and impractical.

Most galls are formed by an increase of hormones stimulating cell growth. When bacteria, viruses or fungi enter the plant, the response is to “seal off” the area with a mass of cells, forming a gall. With insects and mites, the response is similar, though the insect is often encased in the gall until it emerges.

Insect-based galls are challenging to deal with, as the galls typically protect the insect until they emerge as adults and fly away. With most disease-borne galls, the best management strategy is to collect and remove the leaves from beneath the infested plant in the fall. Doing this helps break the disease cycle. Since galls typically do not cause massive damage to the tree, pruning to remove the unsightly growths is probably the most efficient method of control.

All in all, galls are nothing to be concerned about. They are simply the plant trying to defend itself from an invader.

Categories

Add new comment

The content of this field is kept private and will not be shown publicly.

Plain text

  • No HTML tags allowed.
  • Lines and paragraphs break automatically.
CAPTCHA
This question is for testing whether or not you are a human visitor and to prevent automated spam submissions.

Sign up for our e-newsletters!

Subscribe